Laarne Nieuw KMO-bedrijvenpark STEEN – 15 KMO-units te koop in Laarne
Referentie: M-0374 - 384.750 € A.5€ 384.750
Meer over dit pand
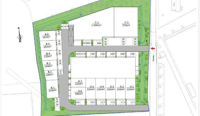
Het nieuw te realiseren bedrijvenpark STEEN in Laarne omvat 15 KMO-units met oppervlaktes van 128 m² tot 1.810 m². Units kunnen bovendien gekoppeld worden tot grotere bedrijfsruimtes, wat dit project bijzonder geschikt maakt voor groeiende ondernemingen.
Aangeboden unit: A.7 – 1.090 m² (incl. 2parkings)
Het KMO-park is gelegen in de industriezone Laarne Veldmeers, centraal in de driehoek Gent – Wetteren – Destelbergen. De site is vlot bereikbaar via:
De units (conform brandklasse C) worden gebouwd in een duurzame staalstructuur, gecombineerd met geïsoleerde beton- en sandwichpanelen, en zijn standaard uitgerust met onder meer:
Interesse of vragen over de mogelijkheden?
Neem gerust contact op met Thomas: 0475 32 51 89 - thomas@arcade-vastgoed.be
Aangeboden unit: A.7 – 1.090 m² (incl. 2parkings)
Het KMO-park is gelegen in de industriezone Laarne Veldmeers, centraal in de driehoek Gent – Wetteren – Destelbergen. De site is vlot bereikbaar via:
- de R4 (op slechts 5 minuten),
- de E17 (afrit Beervelde),
- en met een snelle aansluiting naar de E40 (Klaverblad).
De units (conform brandklasse C) worden gebouwd in een duurzame staalstructuur, gecombineerd met geïsoleerde beton- en sandwichpanelen, en zijn standaard uitgerust met onder meer:
- vrije hoogte van 6 meter
- lichtstraat met rookluik
- automatische sectionale poort (ca. 4 m breed x 4,20 m hoog)
- afzonderlijke inkomdeur
- polybetonvloer
- individuele nutsvoorzieningen (elektriciteit en water)
- minimum 2 privatieve parkeerplaatsen per unit (inbegrepen in de prijs)
Interesse of vragen over de mogelijkheden?
Neem gerust contact op met Thomas: 0475 32 51 89 - thomas@arcade-vastgoed.be
Indeling
| Magazijn | 1 |
| Parkeerplaats | 2 |
Kenmerken
| Referentie | M-0374 - 384.750 € A.5 |
Stedenbouw
| Bouwvergunning | nee |
| Verkavelingsvergunning | nee |
| Overstromingsgevoeligheid | Niet overstromingsgevoelig |
| Stedenbouwkundige bestemming | Industriegebied |
| Dagvaarding | Niet gekend |
| Voorkooprecht | nee |
Technisch
| Elektriciteit |
| Stadswater |
| Regenwater |






