Evergem Nieuwbouw KMO-Units te koop in bedrijvenpark "VIEF" te Evergem
Referentie: M-0113 IIII - UNIT B 4€ 345.950
Beschikbaar: Onmiddellijk beschikbaar
Meer over dit pand
Zeer goed gelegen KMO project (*** LAATSTE 2 TE KOOP ***) of opslagruimtes op 2 km van de R4 met vlotte verbinding naar de E17, E40 en E34.
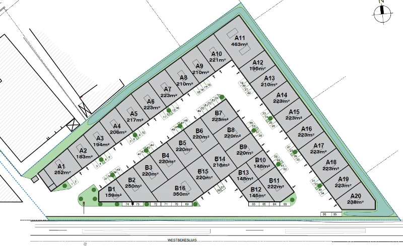
Oppervlaktes beschikbaar vanaf 218 tot 220 m².
Aangeboden loods heeft een oppervlakte van 220 m².
De loodsen worden voorzien van een staalstructuur of betonstructuur met betonnen of cellenbetonwanden, de buitenwanden zijn betonpanelen in machinaal vlak gestreken beton. Verder zijn voorzien: polybetonvloer (3,5T/m²), automatische sectionale poort, deur en raampartij. Alle nutsvoorzieningen komen tot in het gebouw, de aansluitingskosten zijn voor de koper, afvoeren worden voorzien, de loodsen hebben een minimum vrije hoogte van circa 6m en een geïsoleerd steeldeck met polycarbonaat lichtstraten.
Ruime parkeer- en manoeuvreerruimte op de verharde site.
Onmiddellijk instapklaar.
Prijzen zijn excl. meerwerken, basisakte, aansluiting tellers, PID, metingsplan...
Parkeerplaats 6.500 €/ppl/excl.kosten.
Voor bijkomende inlichtingen, plannen of een vrijblijvend plaatsbezoek, aarzel niet ons te contacteren via mail of telefonisch op nr. 0475 32 51 89.
Oppervlaktes beschikbaar vanaf 218 tot 220 m².
Aangeboden loods heeft een oppervlakte van 220 m².
De loodsen worden voorzien van een staalstructuur of betonstructuur met betonnen of cellenbetonwanden, de buitenwanden zijn betonpanelen in machinaal vlak gestreken beton. Verder zijn voorzien: polybetonvloer (3,5T/m²), automatische sectionale poort, deur en raampartij. Alle nutsvoorzieningen komen tot in het gebouw, de aansluitingskosten zijn voor de koper, afvoeren worden voorzien, de loodsen hebben een minimum vrije hoogte van circa 6m en een geïsoleerd steeldeck met polycarbonaat lichtstraten.
Ruime parkeer- en manoeuvreerruimte op de verharde site.
Onmiddellijk instapklaar.
Prijzen zijn excl. meerwerken, basisakte, aansluiting tellers, PID, metingsplan...
Parkeerplaats 6.500 €/ppl/excl.kosten.
Voor bijkomende inlichtingen, plannen of een vrijblijvend plaatsbezoek, aarzel niet ons te contacteren via mail of telefonisch op nr. 0475 32 51 89.
Indeling
| Magazijn | 1 |
Kenmerken
| Referentie | M-0113 IIII - UNIT B 4 |
Stedenbouw
| Bouwvergunning | ja |
| Verkavelingsvergunning | ja |
| Overstromingsgevoeligheid | Niet overstromingsgevoelig |
| Stedenbouwkundige bestemming | Industriegebied |
| Dagvaarding | Nee |
| Voorkooprecht | ja |
Technisch
| Stadswater |
| Telefoon |
| Internet |
| Zonnepanelen |
| Elektriciteit |














